Predaj pozemku • 362 m² bez realitkyVon-Nagel-Str./Zum Sundern/Goldbrink, , Severné Porýnie - Westfálsko
Von-Nagel-Str./Zum Sundern/Goldbrink, , Severné Porýnie - WestfálskoMHD 1 minúta pešoHľadáte pozemok pre váš vysnívaný dvojrodinný dom alebo dvojdom? Máme pre vás dokonalú ponuku!
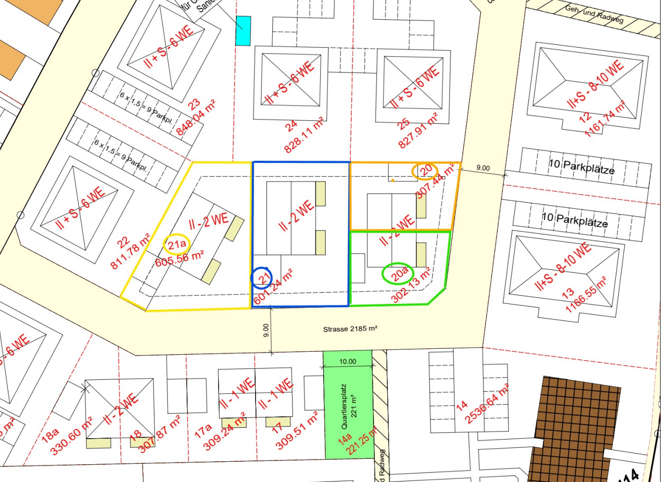
Ponúkame 4 pozemky v Oelde na bývalom areáli Hammelmann, ideálne pre výstavbu dvoch dvojrodinných domov a jedného dvojdomu alebo 2 polovičných dvojdomov. Pozemky sú:
- Pozemok 20: POLOVIČNÝ DVOJDOM cca 307 m² - Cena: 112.500 EUR
- Pozemok 20a: POLOVIČNÝ DVOJDOM cca 302 m² - Cena: 112.500 EUR
- Pozemok 21: DVOJRODINNÝ DOM cca 601 m² - Cena: 210.000 EUR
- Pozemok 21a: DVOJRODINNÝ DOM cca 606 m² - Cena: 198.800 EUR
Vybavenie:
- Stavebne pripravený
- Územný plán je k dispozícii
- Vrátane stavebného povolenia (v spracovaní)
- Priamy nákup od vlastníka
- Žiadne záväzky so stavebným developerom
Ak máte záujem o niektorý z pozemkov, neváhajte nás kontaktovať. Tešíme sa na váš dopyt!
Pozemky sa nachádzajú v pokojnej a obľúbenej obytné lokalite so skvelou dostupnosťou do mesta a okolitého regiónu.
Na požiadanie môže byť váš vysnívaný dom postavený na kľúč.
Parametre nehnuteľnosti
| Dostupné od | 14. 3. 2026 |
|---|---|
| Plocha pozemku | 362 m² |
| Číslo inzerátu | 991849 |
|---|---|
| Cena za jednotku | 311 € / m2 |
Čo táto nehnuteľnosť ponúka?
| MHD 1 minúta pešo |
V okolí nehnuteľnosti nájdete
Stále hľadáte to pravé?
Nastavte si strážneho psa. Ponuky vybrané na mieru dostanete súhrnne 1× denne e-mailom. S Premium profilom máte po ruke rovno 5 strážcov a keď sa niečo objaví, informujú vás obratom.
