Prenájom nebytového priestoru • 670 m² bez realitky, Bádensko-Wurttembersko
, Bádensko-WurttemberskoMHD 2 minúty pešoPrenajíma sa dielňa s rozlohou približne 275 m², vrátane 188 m² skladovacieho priestoru, 42 m² sociálnych priestorov a 167 m² modernej, svetlej a zariadenej príjímacej plochy v priemyselnom areáli Achern.
Hlavné výhody:
• Vizuálne príťažlivá: Moderná a dobre udržiavaná budova, ktorá vyniká celopriečnym zasklením a ponúka veľa denného svetla.
• Zariadenie: Nasťahujte sa bez starostí – vysokokvalitné vybavenie: šesť zdvihacích plošín, zariadenie na montáž a vyváženie pneumatík, skladové regály a pracovné miesta, merací prístroj na nápravy, trezor, pult so troma pracovnými miestami, vstavané skrine, TV aj kuchynský kút, nábytok do oddychovej miestnosti a pohovka sú zahrnuté v ceny prenájmu.
• Klimatizácia: Budova je vybavená moderným klimatizačným systémom.
• Bezpečnostné vybavenie: Na celom vonkajšom areáli je zabezpečené video dohliadanie.
• Energetické zabezpečenie: Fotovoltaická elektráreň bude čoskoro inštalovaná, aby sa znížili vaše náklady na elektrinu.
• Dopravná dostupnosť: Veľmi dobré napojenie na dopravnú sieť – do diaľnice smerom na Karlsruhe / Basel sa dostanete len za päť minút jazdy.
• Blízkosť centra: Krátke cesty do centra Achern – všetko, čo potrebujete, je v blízkosti.
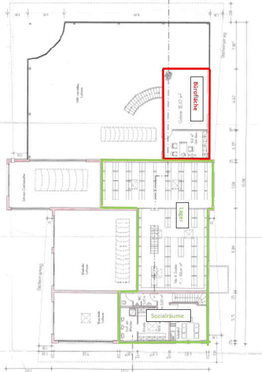
• Možnosť rozšírenia o predajňu: Pri dielni sa nachádza ďalší 220 m² veľký kancelársky a predajný priestor (na pôdoryse označený červenou), ktorý je voliteľne tiež možné prenajať.
• Flexibilné usporiadanie dielne: Dielňa je deliteľná a môže byť prenajatá aj v menších jednotkách.
• Skladový a príjímací priestor: Veľký skladový priestor a príjímacia plocha so kvalitným servisným pultom sú zahrnuté. Skladovacie priestory pre pneumatiky je možné prenajať voliteľne.
Dielňa je vo veľmi dobrom stave.
Desať parkovacích miest je zahrnutých v cene prenájmu celej dielne.
Ďalšie parkovacie miesta ako aj nabíjacie stanice je možné pridať za príplatok.
Nebude sa účtovať žiadna maklérska provízia.
Pre ďalšie informácie alebo dohodnutie termínu prehliadky nás prosím kontaktujte.
Tešíme sa na vašu dopyt!
Achern má približne 25 000 obyvateľov, a je tak stredne veľké mesto. Mesto je známe predovšetkým svojou malebnou polohou pri úpätí Schwarzwaldu a ponúka vysokú kvalitu života. Vďaka svojej centrálnej polohe na juhozápade Nemecka, v bezprostrednej blízkosti väčších miest Karlsruhe a Štrasburg, získava Achern vynikajúce dopravné spojenie a vysokú atraktivitu pre podniky. Vďaka blízkosti diaľnic a medzinárodných letísk, najmä letiska Karlsruhe/Baden-Baden, je Achern dobre dostupný pre podniky s nadregionálnym významom.
Ďalším dôležitým aspektom Achernu je dobré napojenie na verejnú dopravu. Mesto leží na železničnej trati z Karlsruhe do Freiburgu, čo umožňuje rýchly prístup do iných miest.
Celkovo Achern ponúka dynamické a rastúce hospodárske prostredie, ktoré poskytuje vynikajúce perspektívy pre veľké aj malé a stredné podniky. Kombinácia priaznivej polohy, dobrej infraštruktúry a rôznorodých odvetví robí z mesta významné hospodárske centrum v regióne.
Parametre nehnuteľnosti
| Dostupné od | 1. 10. 2025 |
|---|---|
| Číslo inzerátu | 997315 |
| Cena za jednotku | 9 € / m2 |
| Stav | Dobrý |
|---|---|
| Plocha nebytového priestoru | 670 m² |
Čo táto nehnuteľnosť ponúka?
| MHD 2 minúty pešo |
V okolí nehnuteľnosti nájdete
Stále hľadáte to pravé?
Nastavte si strážneho psa. Ponuky vybrané na mieru dostanete súhrnne 1× denne e-mailom. S Premium profilom máte po ruke rovno 5 strážcov a keď sa niečo objaví, informujú vás obratom.









