Predaj pozemku • 218 m² bez realitkyPlachého, Dúbravka - Dúbravka, Bratislavský kraj
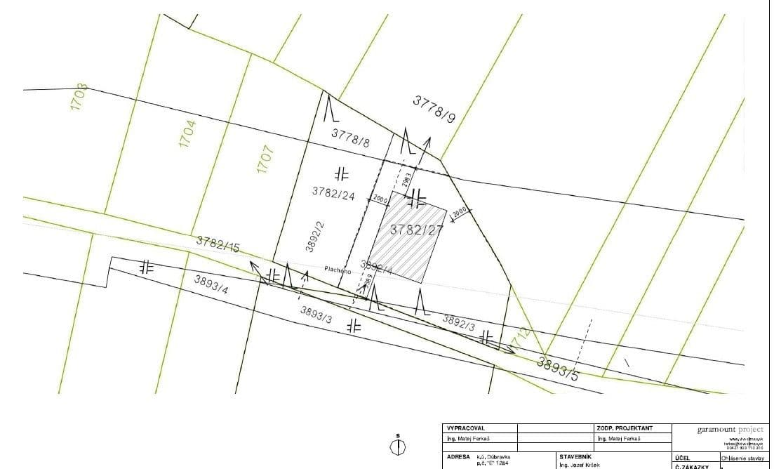
Plachého, Dúbravka - Dúbravka, Bratislavský krajPredávam svoj stavebný pozemok s osobným vlastníctvom o rozlohe 218 m², obkolesený lesmi v tichej oblasti , ktorý je určený na stavebné účely - drobná stavba . Možnosť dokúpenia lesa v cene 6 EUR m2 cca 4000 m2. Inzerovaný pozemok predstavuje atraktívnu príležitosť pre tých, ktorí plánujú realizáciu drobnej stavby do rozmerov 50 m2 formou ohlásenia na zastavenej ploche 180 m2 obkolesenej lesmi. Pozemok je ľahko identifikovatelný , je na Plachého ulici na ceste k rozhladni v Dúbravke na pravej strane priamo vedla cesty a je na ňom betónový stĺp.
Ako priamy vlastník som dlhodobo venoval pozornosť starostlivosti o túto nehnuteľnosť, a preto viem potvrdiť, že všetko je v poriadku a pripravené na ďalší rozvoj. V prípade záujmu ma neváhajte kontaktovať , aby som vám mohol poskytnúť ďalšie informácie a dohodnúť si osobnú prehliadku.
Parametre nehnuteľnosti
| Dostupné od | 26. 2. 2026 |
|---|---|
| Typ pozemku | Stavebný |
| Plocha pozemku | 218 m² |
| Číslo inzerátu | 995192 |
|---|---|
| Vlastníctvo | Osobné |
| Cena za jednotku | 160,55 € / m2 |
V okolí nehnuteľnosti nájdete
Stále hľadáte to pravé?
Nastavte si strážneho psa. Ponuky vybrané na mieru dostanete súhrnne 1× denne e-mailom. S Premium profilom máte po ruke rovno 5 strážcov a keď sa niečo objaví, informujú vás obratom.



