Predaj pozemku • 917 m² bez realitkyJahnstraße 14, , Hesensko
Na predaj je atraktívna stavebná parcela v pokojnej obytné štvrti v Alsbach-Hähnlein (časť obce Alsbach) na ulici Jahnstraße 16. Parcela sa nachádza v upravenom prostredí rodinných a dvojrodinných domov s veľkorysými záhradami a množstvom zelene – ideálne pre rodiny, páry alebo budúcich majiteľov, ktorí túžia bývať blízko prírody a zároveň s dobrou dopravnou dostupnosťou.
Zastaviteľnosť (podľa údajov stavebného úradu):
• Stavebný priestor: cca 14 × 17 m (≈ 270 m² základnej plochy)
• Podlažia: 1–2 plné podlažia
• GRZ: 0,3
• GFZ: 0,6
• Strešné typy / sklon strechy:
– Sedlová strecha / valbová strecha: až do max. 35°
– Plochá strecha / jednoklonová strecha: až do max. 10°
Týmto parcela ponúka veľmi dobré predpoklady pre individuálnu výstavbu – podľa návrhu napr. rodinný dom, dvojdom alebo aj koncepciu viacgeneračného bývania.
Inšpirácia:
K dispozícii je návrhový plán (nepodaný) pre výstavbu dvojdomu, ktorý môže poslúžiť ako inšpirácia pre využitie (pozri obrázky).
Poznámka: Uvedené údaje pochádzajú zo stavebného úradu; záväzné upresnenie sa vykonáva prostredníctvom územného plánu alebo predbežnej žiadosti.
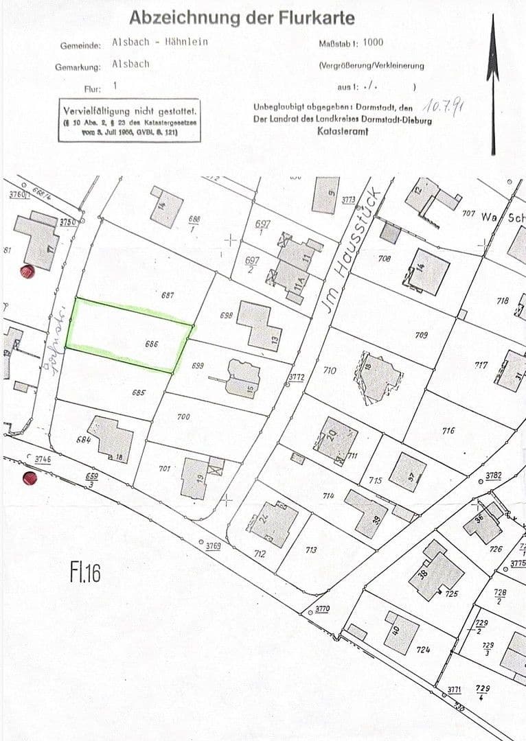
Katastrálny úsek 1, parcela 686 = cca 913 m²
Parcela sa nachádza na svahu s orientáciou na západ v južnej časti obce Alsbach-Hähnlein, v bezprostrednej blízkosti viníc. Ulica Jahnstraße je pokojnou príjazdovou ulicou v príjemnej obytné oblasti s prevažne rodinnými a dvojrodinnými domami, veľkými záhradami a množstvom zelene.
Okolie je ideálne pre všetkých, ktorí ocenia pokoj a prírodu: polia, cesty a zelené plochy sú prakticky priamo pred dverami – perfektné na prechádzky, beh či cyklistiku. Zároveň sú nákupné možnosti, materské školy, školy, lekári a ďalšia infraštruktúra v Alsbach-Hähnlein a susedných obciach veľmi dobre dostupné.
Vďaka výbornej regionálnej dostupnosti je lokalita tiež atraktívna pre pendlerov smerom na Darmstadt / Rhein-Main / Rhein-Neckar.
Parametre nehnuteľnosti
| Číslo inzerátu | 988263 |
|---|---|
| Cena za jednotku | 1 254 € / m2 |
| Plocha pozemku | 917 m² |
|---|
Čo táto nehnuteľnosť ponúka?
| MHD 5 minút pešo |
V okolí nehnuteľnosti nájdete
Stále hľadáte to pravé?
Nastavte si strážneho psa. Ponuky vybrané na mieru dostanete súhrnne 1× denne e-mailom. S Premium profilom máte po ruke rovno 5 strážcov a keď sa niečo objaví, informujú vás obratom.







