Prenájom nebytového priestoru • 220 m² bez realitky, Bádensko-Wurttembersko
, Bádensko-WurttemberskoMHD 2 minúty pešo • ParkovanieTáto moderná a svetlom naplnená kancelárska a výstavná plocha v priemyselnej zóne v Achern vám ponúka na 220 m² ideálne pracovné prostredie. Využite výhody vynikajúceho vybavenia a centrálnej polohy.
Hodnotné vlastnosti:
• Vizuálne príťažlivé: Moderná a dobre udržiavaná budova, ktorá vyniká stenným zasklením a poskytuje veľké množstvo denného svetla.
• Priestranné kancelárske a výstavné priestory: Veľa miesta pre kancelárie, výstavy alebo dodatočné pracovné zóny.
• Nábytok: Nasťahovanie bez starostí – vysokokvalitné vybavenie: Klimatizácia, kuchynský kút, slnečná ochrana, stojací stôl vrátane barových stoličiek, kožená sedacia lounge, TV, cateringový sideboard vrátane chladničky, konferenčný stôl, sklenená vitrína, kancelársky nábytok, skrine, sedacie prvky, akustický stropný plachtový systém a oveľa viac – všetko je zahrnuté v nájomnom.
• Klimatizácia: Budova je vybavená modernou klimatizáciou.
• Bezpečnostné vybavenie: Na celom areáli vonkajších priestorov je zabezpečené videomonitorovanie.
• Energetické zabezpečenie: Fotovoltaická elektráreň bude čoskoro inštalovaná, aby sa znížili vaše náklady na elektrinu.
• Dopravná dostupnosť: Výborné spojenie s dopravnou sieťou – za iba päť minút jazdy dosiahnete diaľnicu smerom na Karlsruhe/Basel.
• Blízkosť centra: Krátke vzdialenosti do centra Achern – všetko, čo potrebujete, je v dosahu.
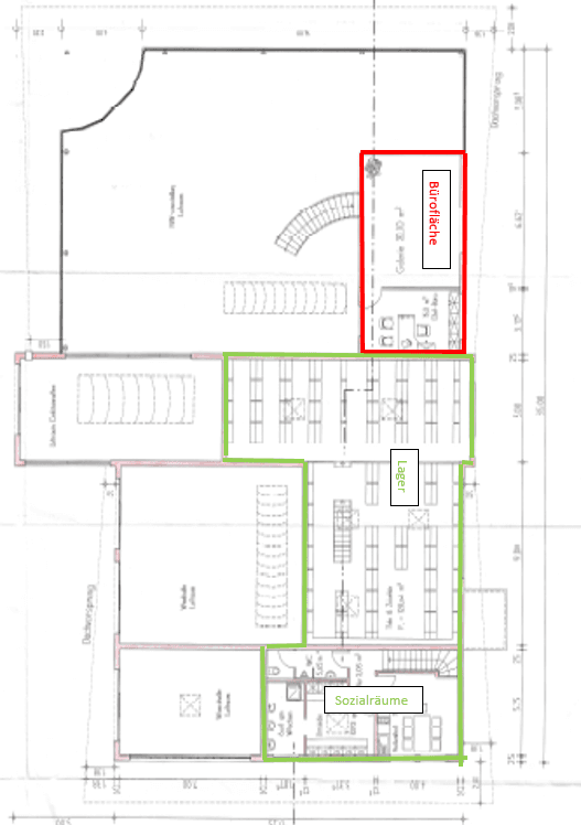
• Možnosť rozšírenia o dielňu: Pri bezprostrednom susedstve kancelárskej a výstavnej plochy sa nachádza dielňa o rozlohe 670 m² vrátane skladových priestorov, sociálnych miestností a veľkej prijímacej plochy (oblasť označená na pôdoryse zelenou), ktorá môže byť voliteľne tiež prenajatá.
Kancelárska a výstavná plocha (označená na pôdoryse červenou) sa nachádza vo veľmi dobrom stave.
Päť parkovacích miest je zahrnutých v nájomnom pre celých 220 m². Ďalšie parkovacie miesta si môžete nadopatrením priplatiť za 20 € za miesto mesačne.
Nebudete platiť žiadnu províziu realitnej kancelárie.
Pre viac informácií alebo dohodnutie termínu obhliadky nás, prosím, kontaktujte.
Tešíme sa na vašu poptávku!
Achern má približne 25 000 obyvateľov, takže ide o stredne veľké mesto. Mesto je známe svojou malebnou polohou pri úpätí Čierneho lesa a ponúka vysokú kvalitu života. Vďaka svojej centrálnej polohe na juhozápade Nemecka, v bezprostrednej blízkosti väčších miest Karlsruhe a Štrasburk, ťaží Achern z vynikajúcej dopravnej dostupnosti a atraktivity pre podniky. Vďaka blízkosti diaľnic a medzinárodných letísk, najmä letiska Karlsruhe/Baden-Baden, je Achern pre podniky s nadregionálnym významom ľahko dostupný.
Ďalším dôležitým aspektom Achernu je výborná dostupnosť verejnej dopravy. Mesto leží na železničnej trati z Karlsruhe do Freiburgu, čo umožňuje rýchle spojenie s inými mestami.
Celkovo Achern ponúka dynamické a rastúce hospodárske prostredie, ktoré poskytuje vynikajúce perspektívy ako pre veľké podniky, tak pre malé a stredné firmy. Kombinácia výhodnej polohy, kvalitnej infraštruktúry a rôznorodých odvetví robí z mesta významné hospodárske centrum v regióne.
Parametre nehnuteľnosti
| Vek | Nad 50 rokov |
|---|---|
| Stav | Dobrý |
| Plocha nebytového priestoru | 220 m² |
| Dostupné od | 1. 10. 2025 |
|---|---|
| Číslo inzerátu | 985499 |
| Cena za jednotku | 11 € / m2 |
Čo táto nehnuteľnosť ponúka?
| Bezbariérový prístup | |
| MHD 2 minúty pešo |
| Parkovanie |
V okolí nehnuteľnosti nájdete
Stále hľadáte to pravé?
Nastavte si strážneho psa. Ponuky vybrané na mieru dostanete súhrnne 1× denne e-mailom. S Premium profilom máte po ruke rovno 5 strážcov a keď sa niečo objaví, informujú vás obratom.






