Predaj pozemku • 1268 m² bez realitky, Dolné Sasko
, Dolné SaskoMHD 3 minúty pešoRovnako zaujímavé pre developerov, stavebné firmy aj pre súkromných investorov.
+++++++++++++++++++++++++++++++++++++++++++++++++++++++
Nehnuteľnosť sa predáva formou verejného dražobného konania. Minimálna cena je 79 000 €. Pri podávaní ponuky sa očakáva aj koncept následného využitia.
Uzávierka pre podanie ponuky je 31.03.26.
Prehliadky sú možné po predchádzajúcej dohode.
+++++++++++++++++++++++++++++++++++++++++++++++++++++++
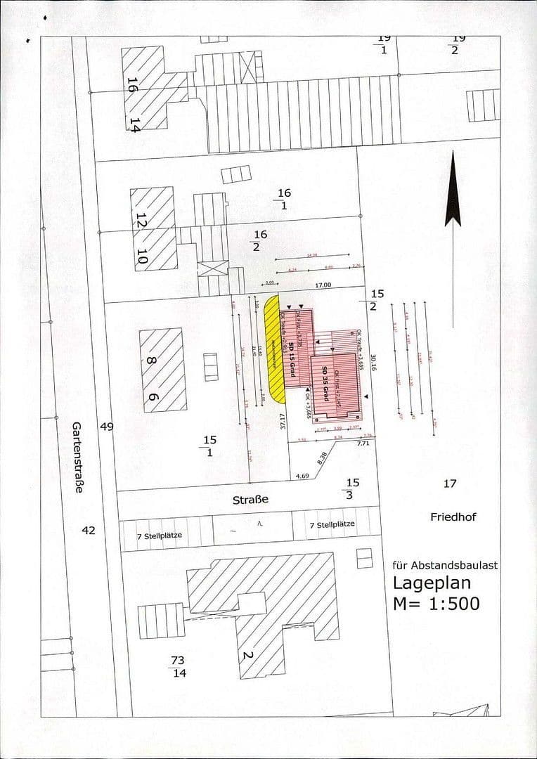
Pozemok (1 268 m²) je zástavaný bývalou kaplnkou (pôvodne dvojdružinovým bývaním) a prídavným objektom. Parkovacie miesta a prístupové cesty sú spevnené. Nezastavaná a spevnená časť je upravená ako trávnik.
Kaplnka bola rušená a stojí prázdna, budova je v stave určujúcom jej zbúranie a momentálne je zabezpečená stavebným plotom.
Územný plán
Podľa územného plánu obce Geeste sa hodnotený pozemok nachádza v zóne, ktorá je vyznačená ako zmiešaná stavebná plocha (GFZ 0,4).
Vnútorná oblasť §34 BauGB
Pre oblasť, kde sa objekt nachádza, neexistuje záväzný územný alebo stavebný plán. Podľa informácií obce Geeste spadá pozemok pokiaľ ide o možnosti jeho využitia do kategórie, ktorej prípustnosť sa určuje podľa § 34 BauGB (prípustnosť projektov v rámci súvisle zastavaných miestnych častí). Neexistuje žiadna vnútroštátna vyhláška podľa § 34 BauGB.
Podľa § 34 BauGB je tu projekt prípustný, ak sa, vzhľadom na jeho druh a mieru, stavebné využitie, spôsob výstavby a zastavanú plochu, začlení do charakteru bezprostredného okolia a je zabezpečená prípojka k infraštruktúre. Podľa toho je prípustná jednopodlažná obytná výstavba. Ďalšie informácie a záväzné rozhodnutia o prípustnom stavebnom využití pozemku môže poskytnúť len príslušný stavebný úrad.
Poplatky za pripojenie a komunálne poplatky:
Podľa informácií obce Geeste za tento objekt už nie je potrebné platiť pripojovacie poplatky podľa stavebného zákona za existujúce zariadenia. Práce na rozšírení ciest sa podľa informácií obce Geeste v dohľadnej dobe neočakávajú.
Práva a bremená:
Zápisy v katastri nehnuteľností:
V oddelení II katastra podľa výpisu z elektronického katastra Okresného súdu v Meppen, katastrálny úrad, nie sú uvedené žiadne zápisy.
Stavebné bremená:
Zoznam stavebných bremien je vedený na okresnej úrovni v Emslande. Podľa informácií okresu na daný objekt existuje stavebné bremenko. Viď priložené fotografie.
Na pozemku nesmú byť zriadené pohostinstvá, ktorých hlavným účelom je podávanie alkoholu, diskotéky, herne, zábaviská so sexuálnym charakterom, sexshop, ani iné zariadenia a prevádzky, ktoré by susedstvo obťažovali hlukom, výparmi, dymom alebo iným spôsobom nad zákonom stanovené limity.
Objekt sa nachádza v mestskej časti Osterbrock obce Geeste na ulici Gartenstraße, ktorá je prístupovou ulicou pre obyvateľov.
Regionálny územný program pre okres Emsland určuje Dalum ako hlavné sídlo v rámci obce s funkciou základného centra. Obec má približne 11 400 obyvateľov.
Mesto Dalum sa nachádza západne od spolocenskej cesty B 70, centrálne medzi mestami Meppen a Lingen. Obec má tam, približne 500 metrov od predávanej nehnuteľnosti, železničnú stanicu na trate Rheine – Emden (s hodinovým spojením v oboch smeroch).
Parametre nehnuteľnosti
| Číslo inzerátu | 984314 |
|---|---|
| Cena za jednotku | 62 € / m2 |
| Plocha pozemku | 1 268 m² |
|---|
Čo táto nehnuteľnosť ponúka?
| MHD 3 minúty pešo |
V okolí nehnuteľnosti nájdete
Stále hľadáte to pravé?
Nastavte si strážneho psa. Ponuky vybrané na mieru dostanete súhrnne 1× denne e-mailom. S Premium profilom máte po ruke rovno 5 strážcov a keď sa niečo objaví, informujú vás obratom.






