
Predaj pozemku • 681 m² bez realitkySollern 55 Mattighofen Pfaffstätt Sollern Oberösterreich 5230
AKCIA: ZĽAVY NA CENY! BETÓNOVÉ ZLATO NAMIETO INFĽÁCIE – ZAISTITE SI SVOJ POZEMOK v najlepšej lokalite.
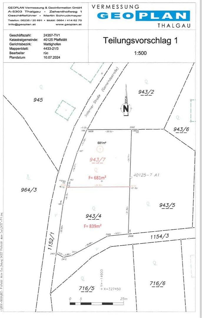
Predávajú sa dva atraktívne stavebné pozemky v Pfaffstätt (mestská časť Sollern), priamo v bezprostrednej blízkosti Mattighofenu.
VÝJIMEČNÉ:
Na rozdiel od takmer všetkých nových sídliacich oblastí v regióne tu NEPLATÍ povinnosť výstavby. Nemusíte stavať do 3 alebo 5 rokov. To robí z týchto pozemkov ideálnu kapitálovú investíciu, ochranu pred infláciou alebo zábezpeku budúcnosti.
POZEMKY A ZĽAVA NA CENY:
Znížili sme vám ceny!
* Pozemok 1 (cca 681 m²): Tento ideálne rozložený pozemok pre rodinný dom bol znížený z 129 000 € na len 120 000 €.
* Pozemok 2 (cca 1 100 m²): Táto priestranná plocha bola masívne znížená z 209 000 € na iba 190 000 €.
Pozemok 2 (1 100 m²): Objekt s výnosom
Veľká plocha je vhodná nielen pre priestranný vlastný dom, ale ponúka tiež pridanú hodnotu pre developerov a investorov: Tu je možná výstavba dvojdomu alebo obytného domu s až 4 bytovými jednotkami!
LOKÁCIA A JEJ VÝHODY:
* Skvelé spojenie: Len cca 3 km do centra Mattighofenu (KTM, FACC, Borbet, nákupné možnosti). Bývate v pokojnej lokalite, ale za 5 minút ste na pracovisku.
* Porovnanie cien: V Mattighofene alebo Munderfing platíte často výrazne viac ako 200 €/m² a zvyčajne platí povinnosť výstavby. Zaistite si tu výrazne lacnejšiu alternatívu v priamej blízkosti!
INFRAŠTRUKTÚRA:
* Optické vlákno, elektrina a kanalizácia sú už prítomné na hranici pozemku.
* Voda: Zabezpečenie prebieha prostredníctvom vlastnej studne, ktorá sa ešte vybuduje. Vaša výhoda: Dlhodobo ušetríte poplatky za vodu.
NÁKLADY A RIEŠENIE:
Predaj prebieha súkromne – ušetríte si províziu realitného makléra (cca 3,6 % z kúpnej ceny)!
Využite aktuálne zníženie cien a zaistite si túto vzácnu ponuku.
Pre otázky alebo prehliadku som vám k dispozícii.
Okraj lesa v mestskej časti Sollern / Pfaffstätt
Parametre nehnuteľnosti
| Dostupné od | 24. 12. 2025 |
|---|---|
| Plocha pozemku | 681 m² |
| Číslo inzerátu | 975468 |
|---|---|
| Cena za jednotku | 176 € / m2 |
Čo táto nehnuteľnosť ponúka?
| MHD 3 minúty autom |
V okolí nehnuteľnosti nájdete
Stále hľadáte to pravé?
Nastavte si strážneho psa. Ponuky vybrané na mieru dostanete súhrnne 1× denne e-mailom. S Premium profilom máte po ruke rovno 5 strážcov a keď sa niečo objaví, informujú vás obratom.



