Prenájom pozemku • 776 m² bez realitkyDobrovského, Ostrava - Přívoz, Moravskoslezský kraj
Dobrovského, Ostrava - Přívoz, Moravskoslezský krajMHD 5minút pešoMesačné nájomné6 000 CZK
+ Poplatky za služby1 CZK
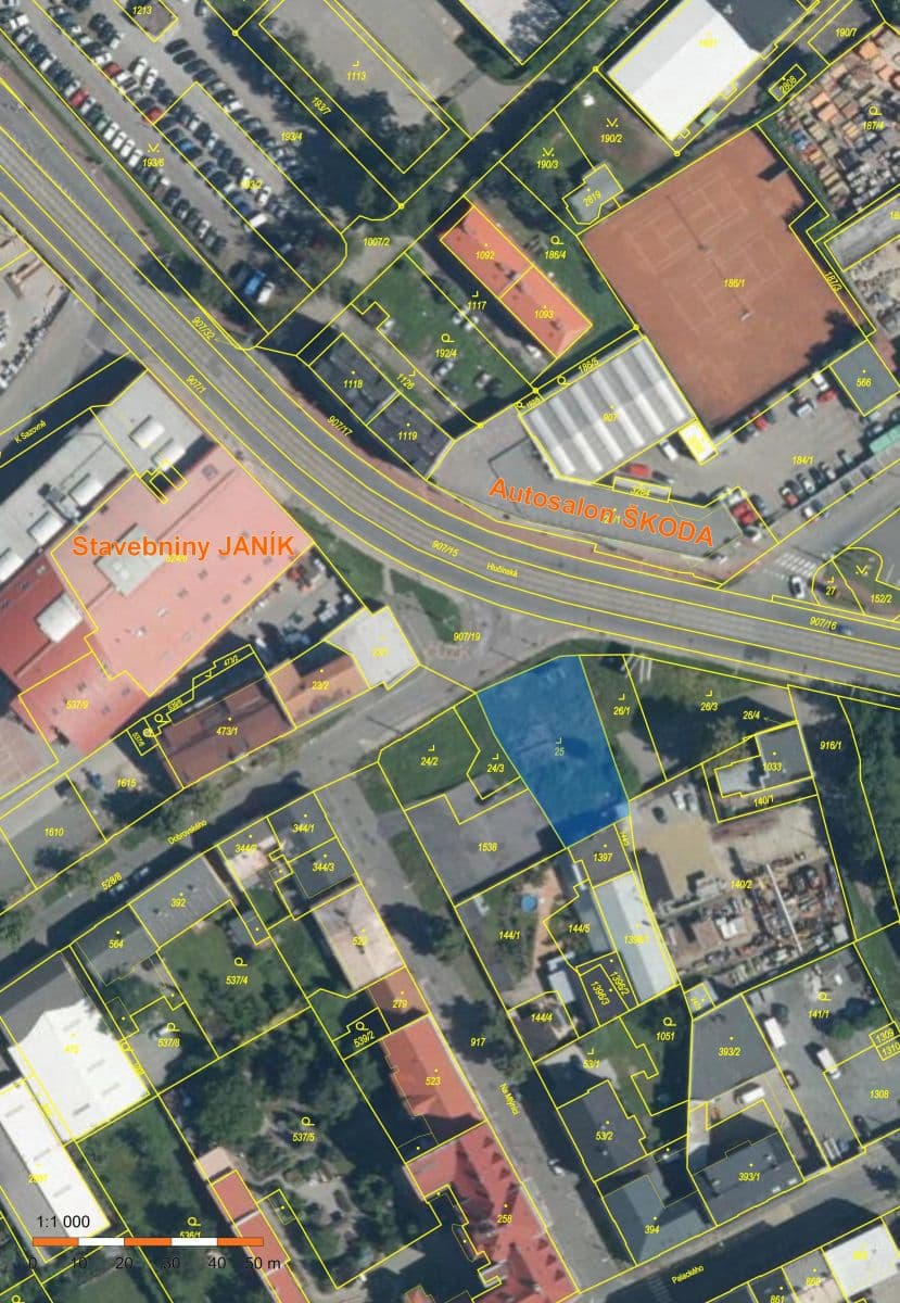
Nabízím k dlouhodobému pronájmu lukrativní stavební parcelu číslo 25, Ostrava-Přívoz. Pozemek se nachází u hlavní silnice vedle stavebnin JANÍK. Rozloha parcely je 776m2. Dle ÚP, je parcela vedena: plochy smíšené - bydlení a služby. Elektřina je na pozemku.
Nájemné 6000Kč/měs
Parametre nehnuteľnosti
| Dostupné od | 17. 4. 2022 |
|---|---|
| Číslo inzerátu | 714438 |
| Umiestnenie | Tichá lokalita |
| Plocha pozemku | 776 m² |
| Poschodie | 1. poschodie |
|---|---|
| Typ pozemku | Stavebný |
| Plocha | 776 m² |
| Cena za jednotku | 7,73 CZK / m2 |
Čo táto nehnuteľnosť ponúka?
| MHD 5 minút pešo |
V okolí nehnuteľnosti nájdete
MHDDůl Odra
🚶 413 m (5 min)
PoštaOstrava 2
🚘 1 321 m (4 min)
ObchodLidl
🚘 924 m (2 min)
BankaKomerční banka
🚘 1 874 m (5 min)
ReštauráciaAsijské bistro
🚘 987 m (3 min)
Lekáreňmoje lékárna
🚘 930 m (2 min)
ŠkolaZákladní škola Nádražní
🚘 1 997 m (5 min)
Materská školaMateřská škola Šafaříkova
🚘 1 094 m (3 min)
ŠportoviskoSportovní hala SAREZA
🚘 1 953 m (4 min)
IhriskoDopravní hřiště
🚘 1 263 m (3 min)
Vzdialenosť k:
Mesačné nájomné6 000 CZK
+ Poplatky za služby1 CZK
Stále hľadáte to pravé?
Nastavte si strážneho psa. Ponuky vybrané na mieru dostanete súhrnne 1× denne e-mailom. S Premium profilom máte po ruke rovno 5 strážcov a keď sa niečo objaví, informujú vás obratom.





