Prenájom bytu 4+1 • 90 m² bez realitkySchillerstr. 44, , Bádensko-Wurttembersko
Schillerstr. 44, , Bádensko-WurttemberskoMHD 1 minúta pešoTu je preklad do slovenčiny:
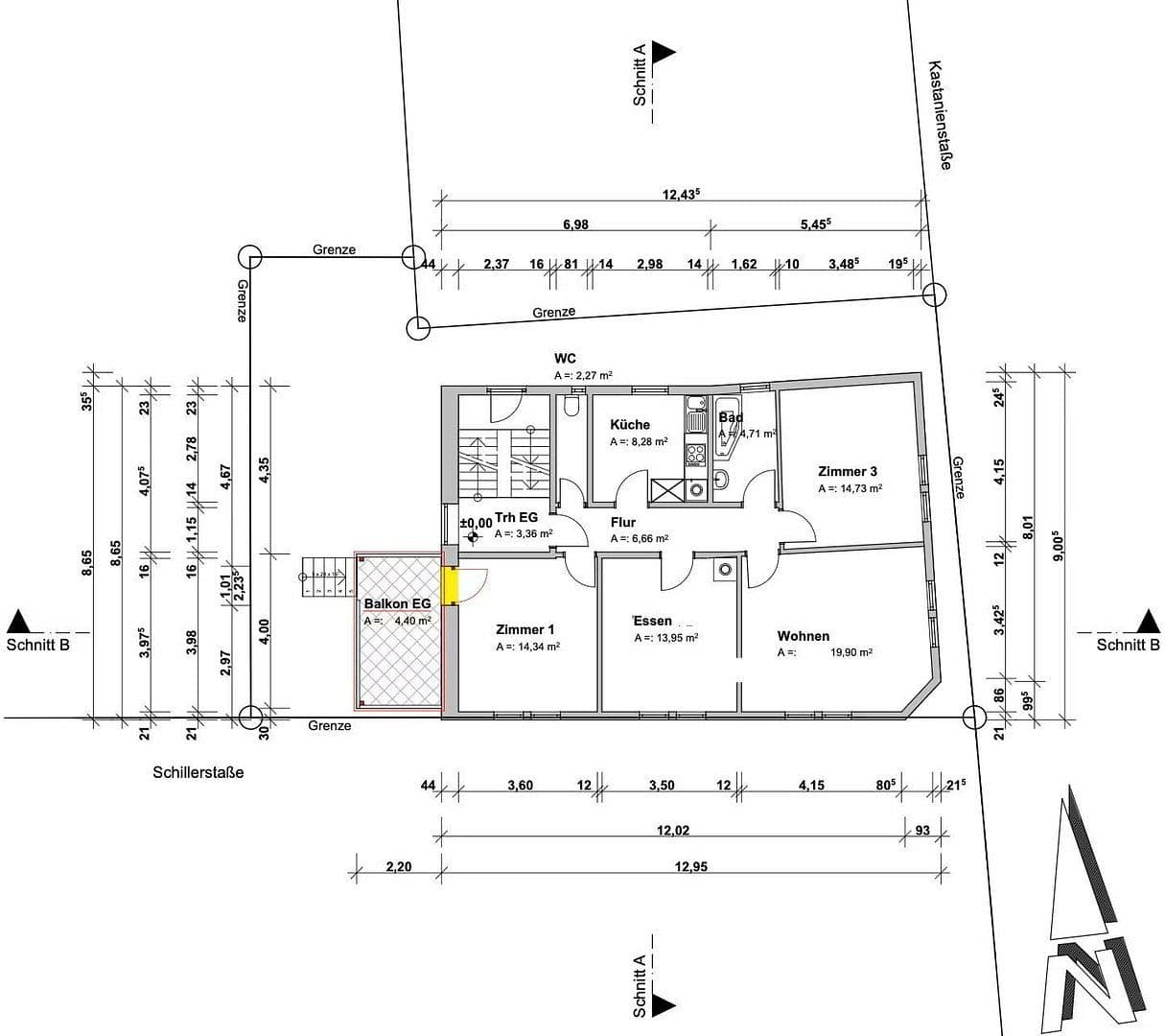
Pri tejto príťažlivej nehnuteľnosti ide o byt v trojrodinnom dome, ktorý zaujme svojou vkusne vybavenou výzdobou a vysokými priestormi a je možné ho okamžite nastúpiť. Okrem štyroch príjemných izieb ponúka apartmán s jednou kúpeľňou a samostatnou hosťovskou toaletou dostatok priestoru pre wellness a oddych. Obzvlášť treba vyzdvihnúť, že nenájdete len balkón s rozlohou 8 m², ale môžete taktiež využívať záhradu domu.
K dispozícii je aktuálny energetický preukaz a kompletná rekonštrukcia prebehla v rokoch 2021–2022. Ďalej presvedčuje aj dobré dispozičné riešenie, vďaka ktorému je objekt vhodný aj pre spolubývajúcich (2–4 osoby). Súčasťou nehnuteľnosti je aj sklep, v ktorom si pohodlne uložíte krabice, bicykle či iné veci. Už zabudovaná kuchyňa a zariadenie – nábytok, koberce a lampy (ako je vidieť na obrázkoch) – vám pri sťahovaní ušetria čas aj námahu, pričom ich môže prenajímateľ aj uskladniť.
Objekt sa nachádza veľmi centrálne v oblasti Albstadt Ebingen. V pešej vzdialenosti od neho je dostupných niekoľko verejných dopravných prostriedkov. Preregionálne destinácie sú dobre dostupné cez nedaleko prebiehajúcu železničnú linku 766. V blízkom okolí nájdete pár reštaurácií, pekární, kaviarní, lekárov, materskú školu, školy a nákupné centrum. Takisto niekoľko módnych obchodov, fitness centier, zelených plôch a parkov, kníhkupectví a dvoch barov je hneď vedľa.
• Dubová drevená podlaha
• TV + sieťové pripojenie v spálni, obývačke, jedálni a v kancelárii/detskej izbe
• Malá záhrada
• Ústredné kúrenie (pelity)
• Sieťové zásuvky (pre internet) vo všetkých štyroch hlavných miestnostiach
Rekonštrukcia:
Kúrenie, odpadová voda, čistá voda, elektrina, steny, podlahy, dvere, balkóny, strecha (podľa štandardu KfW55) a oveľa viac je nové.
Parametre nehnuteľnosti
| Vek | Nad 50 rokov |
|---|---|
| Stav | Po rekonštrukcii |
| Číslo inzerátu | 1013198 |
| Úžitková plocha | 90 m² |
| Dostupné od | 22. 4. 2026 |
|---|---|
| Dispozícia | 4+1 |
| PENB | C - Hospodárne |
| Cena za jednotku | 11,11 € / m2 |
Čo táto nehnuteľnosť ponúka?
| Balkón | |
| MHD 1 minúta pešo |
| Pivnica |
V okolí nehnuteľnosti nájdete
Stále hľadáte to pravé?
Nastavte si strážneho psa. Ponuky vybrané na mieru dostanete súhrnne 1× denne e-mailom. S Premium profilom máte po ruke rovno 5 strážcov a keď sa niečo objaví, informujú vás obratom.









