Predaj pozemku • 5300 m² bez realitkyWorms Worms Rheinland-Pfalz 67549
Worms Worms Rheinland-Pfalz 67549MHD 3 minúty pešoSTAVEBNÁ PARCELA – mesto Worms – Výstavba až 20 kvalitných bytových jednotiek na 5 300 m² (fotografie – možný, optimalizovaný vzhľad areálu)
VÝSLOVNE – NEŽIADU SA MAKLÉRSKE KONTAKTY ALEBO STAVEBNÍ INTERMEDIÁTORI ATĎ. – § 7 UWG
KVÔLI VEĽKOSTI CELKOVÉHO PROJEKTU PREBIEHA PREDAJ IBA NA STAVEBNÚ SPOLOČNOSŤ
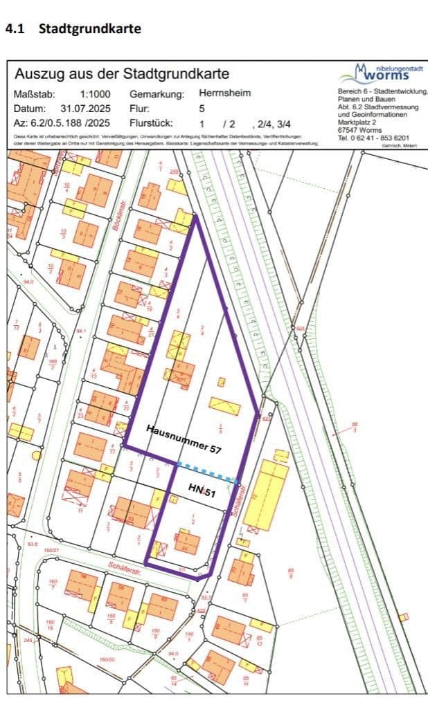
Ponúkame vám dve susedné parcely vo Wormsu o rozlohe cca 5 300 m², ktoré sa nachádzajú len niekoľko minút od centra v pokojnej obytné oblasti (jednofamilové a dvojfamilové domy) a majú veľmi dobré autobusové spojenie medzi iným aj k nemocnici a hlavnému nádražiu. Dokonca aj na bicykli je centrum dosiahnuteľné za len päť minút.
Z hľadiska topografie je celý areál vo veľkej miere rovný, s veľmi miernym spádom smerom k severnej časti parcely.
Parcelu sú úplne nezáťažované a bez nájomných alebo pôrodných vzťahov.
Pôdne vzorky (do hĺbky 4 m) z roku 2022 z jednej z parciel boli kategorizované ako nezávadné Z0, pričom pôda je únosná.
Na parcelách stoja existujúce stavby, ktoré musia byť odstránené pre novú výstavbu.
Železničná trať prechádza po 2,50 m vysokom nasype smerom na severovýchod. V tejto oblasti bola od železnice postavená účinná a esteticky príťažlivá 2 metrov vysoká protihluková stena.
V zásade je pred výstavbou v blízkosti trate nutné získať zvukovú expertízu, ktorú treba spolu so žiadosťou o stavebné povolenie predložiť stavebnému úradu. V tejto súvislosti sa odporúča kubistický stavebný štýl s rovinatou strechou (pozri aj príklady realizácií), pretože táto forma výstavby ponúka najvyššiu úroveň zvukovej ochrany oproti budovám so sedlovými strechami.
Menšia, južne orientovaná parcela (1 345 m²) je plne zariadená. Väčšia parcela (3 926 m²) bola pripojená iba k elektrickej sieti. Ostatné odvodňovacie a zásobovacie siete sa nachádzajú v prilehlom slepom úseku. Povinná výstavba ciest a chodníkov nad a pod zemou je záležitosťou budúceho investora.
Po predbežnom dopyte týkajúcom sa možných „stavbových okien“ je možné na väčšej parcele umiestniť sedem dvojdomov (14 bytových jednotiek) – harmonicky a z hľadiska dopravy a inžinierskych sietí uskutočniteľné. Rozmery dvojdomov boli predpokladané so šírkou 11 m a hĺbkou 12 m. Tieto rozmery slúžia len ako približné orientačné hodnoty a je ich možné v rámci možností upraviť.
Samozrejme, v predbežnom plánovaní je prípadne možná aj vyhradená plocha pre hasičský zásah, obratová cesta, miesto na zber odpadu a prípadná výstavba spoločného energetického uzla na vrchole parcely.
Každá polovica dvojdomu by mala zabezpečenú garáž a parkovacie miesto, čím by bola aj infraštruktúra pre elektrické autá pokrytá.
V zásade sú povolené všetky typy strešných konštrukcií a počet podlaží až do 2+; výška komína nesmie presiahnuť 10 m. Pre túto oblasť neexistuje územný plán, a preto sa uplatňuje § 34 BauGB (budovy sa musia hodiť do bezprostredného okolia).
Pre menšiu parcelu nebola podaná žiadna predbežná stavebná žiadosť. Avšak je tam určite možné postaviť dva dvojdomy (4 bytové jednotky) s odstupom 4 m od hranice parcely – a to po potrebnom rozšírení ciest.
V rámci nového celonárodného stavebného zákona by sa prípadne podľa nového § 34 ods. 3b BauGB mohli postaviť aj dve budovy, z ktorých každá by obsahovala tri vertikálne oddelené bytové jednotky, teda spolu 6 bytových jednotiek. Tento paragraf umožňuje žiadateľom odchyliť sa od princípu „zapadnutia do bezprostredného okolia“, pričom referenčná budova v bezprostrednej blízkosti by mala len o 1,5 m menšiu šírku.
Mesto Worms stanovilo smernice pre uplatňovanie nových stavebných zákonov, ktoré je potrebné dodržiavať.
vid. o.
PRI ZOHĽADNENÍ UVEDENÝCH STAVEBNÝCH POŽIADAVIEK JE MOŽNÉ VEĽMI RÝCHLO PODAŤ ŽIADOSŤ O STAVEBNÉ POVOLENIE A SPUSTIŤ VÝSTAVBU.
Bolo by nám potešením, keby sme vzbudili váš záujem.
Sme vám k dispozícii pre akékoľvek otázky prostredníctvom portálu, ak pôsobíte ako projektový developer pre stavebnú spoločnosť, a radi vám zašleme náš podrobný expozit.
Parametre nehnuteľnosti
| Číslo inzerátu | 1011808 |
|---|---|
| Cena za jednotku | 0 € / m2 |
| Plocha pozemku | 5 300 m² |
|---|
Čo táto nehnuteľnosť ponúka?
| MHD 3 minúty pešo |
V okolí nehnuteľnosti nájdete
Stále hľadáte to pravé?
Nastavte si strážneho psa. Ponuky vybrané na mieru dostanete súhrnne 1× denne e-mailom. S Premium profilom máte po ruke rovno 5 strážcov a keď sa niečo objaví, informujú vás obratom.






