Predaj nebytového priestoru • 282 m² bez realitkyTáborská, Čáslav - Čáslav, Středočeský kraj
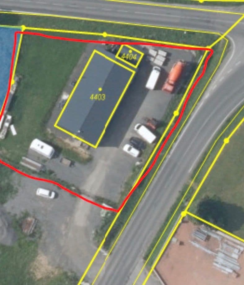
Nabízím k prodeji moderní nebytový prostor o rozloze 282 m², který se nachází v montované novostavbě. Nemovitost je osobního vlastnictví a představuje ideální příležitost pro podnikatelské záměry, kancelářské prostory, logistické služby či další komerční využití. Součástí je také plechová garáž o rozloze 6x4m. Pozemek o rozloze 1554m2.Díky kompletnímu vybavení je místo ihned připraveno k nastěhování a provozu, což šetří čas i náklady spojené s rekonstrukcí či zařizováním interiéru.
Prostory se vyznačují promyšlenou dispozicí a kvalitní realizací, která zaručuje komfortní a efektivní využití dostupné plochy. Součástí objektu je také zajištěné parkování, což je neocenitelné zejména v rušnějších lokalitách. Energetická náročnost budovy je označena štítkem E, což odráží moderní standardy a udržitelnost stavby.
Pokud máte zájem o bližší informace či prohlídku, neváhejte mě kontaktovat prostřednictvím zpráv na komunikační platformě.
Parametre nehnuteľnosti
| Dostupné od | 7. 4. 2026 |
|---|---|
| Konštrukcia budovy | Montovaná |
| Číslo inzerátu | 1009735 |
| PENB | E - Nehospodárne |
| Umiestnenie | Okraj |
| Cena za jednotku | 67 375,89 CZK / m2 |
| Stav | Novostavba |
|---|---|
| Vybavené | Vybavené |
| Vlastníctvo | Osobné |
| Poloha nebytového priestoru | Samostatný |
| Plocha nebytového priestoru | 282 m² |
Čo táto nehnuteľnosť ponúka?
| Garáž | |
| MHD 1 minúta autom |
| Parkovanie |
V okolí nehnuteľnosti nájdete
Stále hľadáte to pravé?
Nastavte si strážneho psa. Ponuky vybrané na mieru dostanete súhrnne 1× denne e-mailom. S Premium profilom máte po ruke rovno 5 strážcov a keď sa niečo objaví, informujú vás obratom.













