
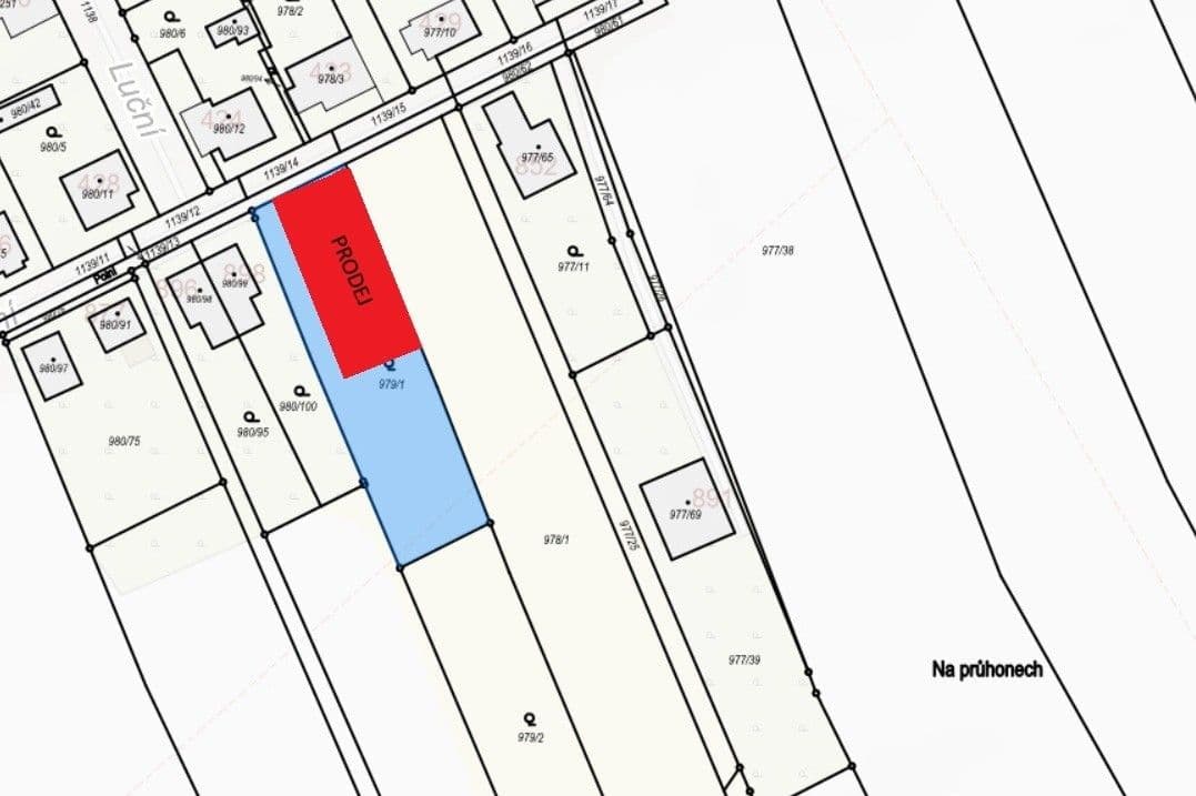
Predaj pozemku • 500 m² bez realitkyPolní, Lázně Bohdaneč - Lázně Bohdaneč, Pardubický kraj
Nabízím k prodeji stavební pozemek o výměře cca 500 m² v atraktivní lokalitě Lázně Bohdaneč – ulice Polní.
Pozemek se nachází v klidné, již zastavěné části města, v sousedství rodinných domů. Má přímý přístup z veřejné komunikace a je určen k výstavbě rodinného domu.
📐 Parametry pozemku
výměra: cca 500 m²
tvar: pravidelný, vhodný pro výstavbu RD
přístup: přímo z ulice Polní
územní plán: plochy bydlení – rodinné domy
pozemek bude oddělen geometrickým plánem
🌳 Lokalita
Lázně Bohdaneč jsou vyhledávanou lokalitou díky klidu, lázeňskému prostředí a výborné dostupnosti do Pardubic.
Samozřejmostí je kompletní občanská vybavenost – školy, školky, obchody, restaurace i služby.
💰 Cena
7490 Kč/m²
(konečná cena dle dohody a přesné výměry po GP)
Parametre nehnuteľnosti
| Dostupné od | 5. 4. 2026 |
|---|---|
| Typ pozemku | Stavebný |
| Plocha pozemku | 500 m² |
| Číslo inzerátu | 1009123 |
|---|---|
| Vlastníctvo | Osobné |
| Cena za jednotku | 7 490 CZK / m2 |
V okolí nehnuteľnosti nájdete
Stále hľadáte to pravé?
Nastavte si strážneho psa. Ponuky vybrané na mieru dostanete súhrnne 1× denne e-mailom. S Premium profilom máte po ruke rovno 5 strážcov a keď sa niečo objaví, informujú vás obratom.





