Predaj pozemku • 504 m² bez realitkyPodhradí - Podhradí u Aše, Karlovarský kraj
PRODEJ STAVEBNÍHO POZEMKU S PLATNÝM STAVEBNÍM POVOLENÍM
📍 Podhradí u Aše (Karlovarský kraj)
Nabízíme k prodeji stavební pozemek o velikosti 504 m² s platným stavebním povolením na rodinný dům. Ideální příležitost pro ty, kteří chtějí ihned začít stavět bez zdlouhavého vyřizování.
📌 Základní informace:
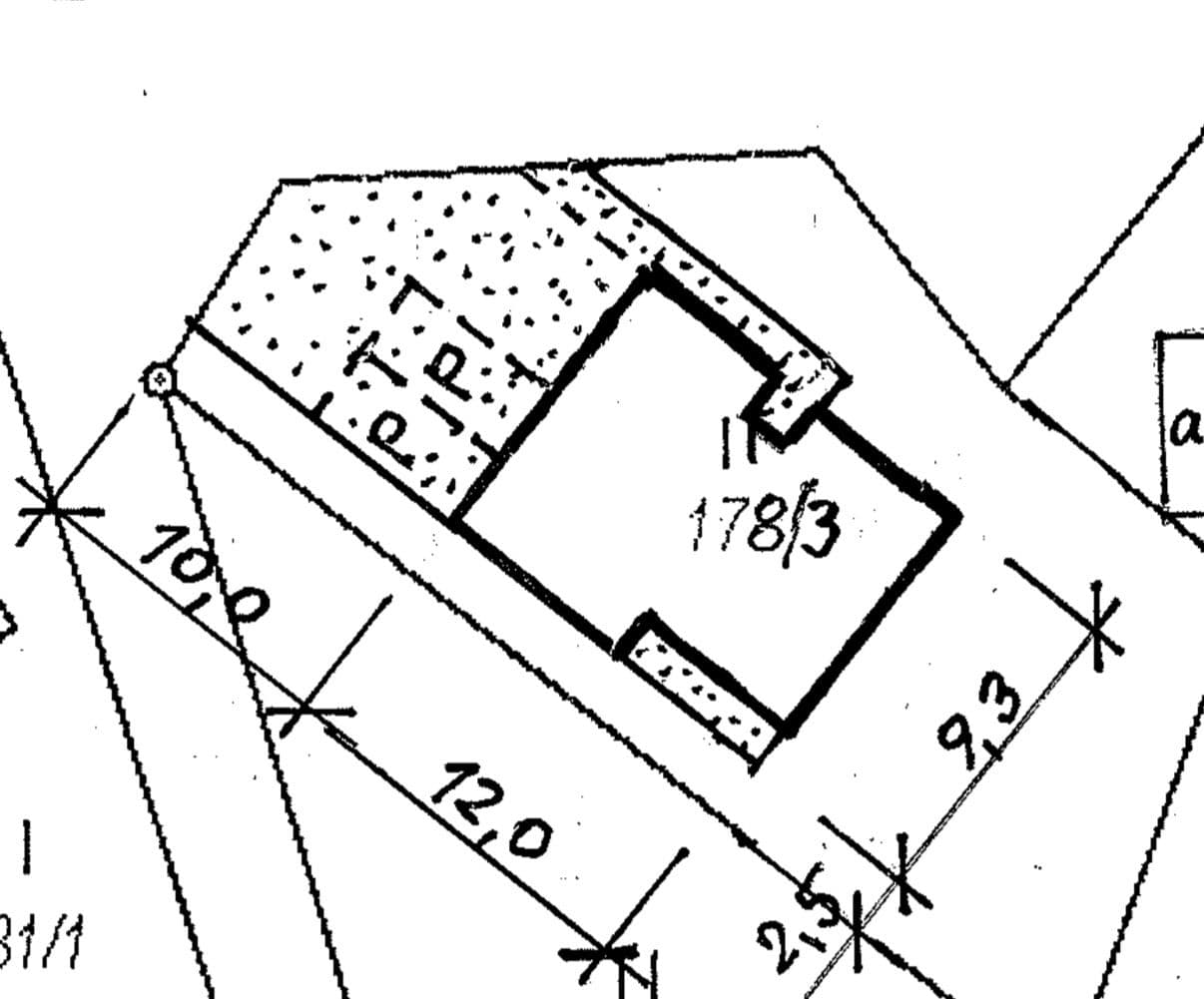
• Plocha pozemku: 504 m²
• Parcelní číslo: 178/3
• Katastrální území: Podhradí u Aše
• Určení: výstavba rodinného domu
✅ Stavební povolení vydáno (11/2025) 
🏠 Schválený projekt:
• Rodinný dům 3+kk
• Užitná plocha: 85,5 m²
• Rozměry: 12 × 9,3 m
• Jednopodlažní dům (bez sklepa)
• Terasa + parkovací stání
💡 Možnost realizace ihned nebo úpravy projektu dle vlastních představ
⚡ Inženýrské sítě:
• 💧 Vodovod – možnost napojení
• ⚡ Elektřina – k dispozici
• 🚽 Kanalizace – veřejná
• 🌐 Internet – dostupný (CETIN)
🌿 Výhody:
• Klidná lokalita na okraji obce
• Dobrá dostupnost
• Veškerá povolení a vyjádření již vyřízena
• Úspora času i nákladů na projektovou přípravu
🔥 Hlavní benefit:
👉 Možnost zahájit stavbu prakticky ihned
👉 Úspora až 12 měsíců vyřizování
Parametre nehnuteľnosti
| Dostupné od | 28. 3. 2026 |
|---|---|
| Typ pozemku | Stavebný |
| Plocha pozemku | 504 m² |
| Číslo inzerátu | 1006550 |
|---|---|
| Vlastníctvo | Osobné |
| Cena za jednotku | 1 667 CZK / m2 |
V okolí nehnuteľnosti nájdete
Stále hľadáte to pravé?
Nastavte si strážneho psa. Ponuky vybrané na mieru dostanete súhrnne 1× denne e-mailom. S Premium profilom máte po ruke rovno 5 strážcov a keď sa niečo objaví, informujú vás obratom.


