
Predaj pozemku • 696 m² bez realitkyŠevčíkova, Liberec - Rochlice u Liberce, Liberecký kraj
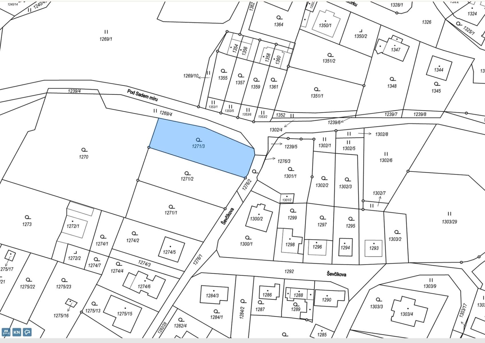
Ševčíkova, Liberec - Rochlice u Liberce, Liberecký krajNabízíme k prodeji stavební pozemek parc. č. 1271/3 v k. ú. Rochlice u Liberce o výměře 696 m², vhodný pro výstavbu rodinného domu nebo menšího bytového domu.
Pozemek se nachází na rohu ulic Pod Sadem míru a Ševčíkova, v klidné části městské čtvrti Rochlice, v zástavbě rodinných domů a v zeleni. Lokalita nabízí příjemné městské bydlení s výbornou dostupností – v pěší vzdálenosti jsou MHD, škola, školka, obchody i další služby.
Podle územního plánu je pozemek veden jako
BO – bydlení všeobecné (charakter zástavby „p“ – předměstská).
Inženýrské sítě:
elektřina – připojení k distribuční soustavě ČEZ na základě smlouvy o smlouvě budoucí, realizace přípojky nejpozději do 10. 9. 2026.
V ulici Ševčíkova se nachází:
NTL plynovod
splašková kanalizace
vodovodní řád
Na tyto sítě je možné se připojit na základě vyjádření správců sítí. Domovní přípojky vody a kanalizace jsou vyprojektovány, zatím však nebyly realizovány (projektant Ing. Leoš Slavík, ČKAIT 0500458).
K pozemku jsou k dispozici:
-inženýrsko-geologický průzkum (Ing. Žabka) – řeší vsakování
a zakládání stavby
-výškopis a polohopis terénu
-ověřovací zastavovací studie, která prověřuje možnosti
výstavby rodinného či bytového domu
Regulativy dle územního plánu:
-maximální zastavěná plocha: 15 %
-maximální zpevněná plocha: 15 %
-minimální plocha zeleně: 70 %
Možná je výstavba objektu až o 3 nadzemních podlažích s ustupujícím posledním podlažím a plochou střechou, případně s podkrovím pod sedlovou střechou.
Maximální výška objektu: 12 m od nejnižšího bodu terénu.
Na základě zkušeností s nedávnou výstavbou dvou sousedních objektů můžeme zájemci předat praktické zkušenosti a doporučení k realizaci stavby.
Prodej je realizován přímo vlastníkem. V případě zájmu zajistíme kompletní právní servis, související s převodem nemovitosti.
Parametre nehnuteľnosti
| Dostupné od | 11. 3. 2026 |
|---|---|
| Typ pozemku | Stavebný |
| Plocha pozemku | 696 m² |
| Číslo inzerátu | 1000206 |
|---|---|
| Vlastníctvo | Osobné |
| Cena za jednotku | 6 321,84 CZK / m2 |
V okolí nehnuteľnosti nájdete

Predaj pozemkuPaceřice - Paceřice, Liberecký kraj- 1203 m²
3 700 000 CZK3 900 000 CZK
Ušetríte 200 000 CZK
Predaj pozemkuHodkovice nad Mohelkou - Hodkovice nad Mohelkou, Liberecký kraj- 1790 m²
4 950 000 CZK5 100 000 CZK
Ušetríte 150 000 CZK


Stále hľadáte to pravé?
Nastavte si strážneho psa. Ponuky vybrané na mieru dostanete súhrnne 1× denne e-mailom. S Premium profilom máte po ruke rovno 5 strážcov a keď sa niečo objaví, informujú vás obratom.





