Predaj pozemku • 1200 m² bez realitkyLipnice nad Sázavou - Lipnice nad Sázavou, Kraj Vysočina
Nový
Lipnice nad Sázavou - Lipnice nad Sázavou, Kraj VysočinaCena2 760 000 CZK
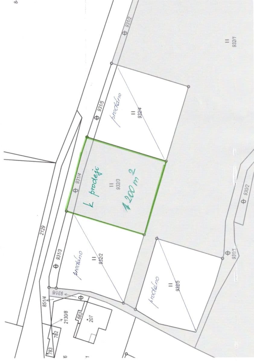
Nabízím k prodeji stavební pozemek o rozloze 1200 m² pro výstavbu rodinného domu.
Pozemek je na okraji Lipnice nad Sázavou s výhledem na hrad, situovaný na jižní stranu.
Na okraj pozemku bude letos přivedeny přípojky na elektřinu a vodu. Kanalizace je v plánu města.
Parametre nehnuteľnosti
| Dostupné od | 12. 3. 2026 |
|---|---|
| Typ pozemku | Stavebný |
| Plocha pozemku | 1 200 m² |
| Číslo inzerátu | 1000560 |
|---|---|
| Vlastníctvo | Osobné |
| Cena za jednotku | 2 300 CZK / m2 |
V okolí nehnuteľnosti nájdete
Vzdialenosť k:
Cena2 760 000 CZK
Stále hľadáte to pravé?
Nastavte si strážneho psa. Ponuky vybrané na mieru dostanete súhrnne 1× denne e-mailom. S Premium profilom máte po ruke rovno 5 strážcov a keď sa niečo objaví, informujú vás obratom.


